"Sehr aktive" Hurrikan -Saison in diesem Jahr erwartet - hier ist wo
Weitere Beweise deuten darauf hin, dass Stürme im Jahr 2024 besonders schlecht sein könnten.
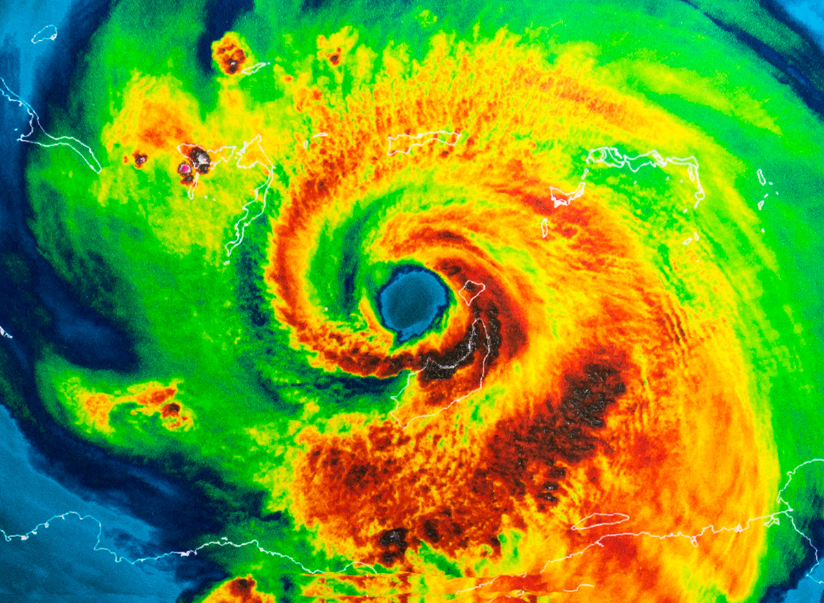
Eine Vorstellung davon haben, was in Bezug auf das Kommando kommt Unwetter ist immer eine gute Sache, aber es ist besonders wichtig, wenn es um die Hurrikan -Saison geht. Aus diesem Grund analysieren Meteorologen die Bedingungen und sortieren Daten, um langfristige Prognosen zu erstellen und zu versuchen, eine bessere Vorstellung davon zu bekommen, wie intensiv ein bestimmtes Jahr sein könnte. Obwohl sich Outlooks ändern können, gibt es jetzt mehr Beweise für eine "sehr aktive" Hurrikan -Saison in diesem Jahr. Lesen Sie weiter, um zu sehen, was die Daten sagen und welche Teile der USA am meisten betroffen sind.
VERWANDT: Neue Frühjahrsprognose zeigt, welche US -Regionen in diesem Jahr wärmer und feuchter sein werden .
Aktuelle El Niño -Bedingungen unterdrücken normalerweise die Hurrikanbildung.

" El Niño "ist dank seines regelmäßigen Wiederauftreffens in Schlagzeilen und Prognosen zu einem der erkennbareren Wetterbedingungen geworden an die nationale ozeanische und atmosphärische Verwaltung (NOAA).
Die meisten Menschen kennen El Niño wegen des Wetters, das es in den USA tendenziell verursacht, typischerweise bedeutet dies feuchteres, regnerischeres Wetter im Süden und Südosten und wärmeres, trockeneres Wetter im Nordosten, wenn der pazifische Jetstrom weiter nach Süden gezogen wird.
Viele mögen jedoch nicht erkennen, dass es auch einige andere Arten von Wetter in Schach hält, einschließlich Hurrikanen. Und während die gegenwärtigen Bedingungen auf ein ruhigeres Jahr für atlantische Stürme hinweisen könnten, kann sich am Horizont drastisch verändern.
VERWANDT: "Großer Winter" kann die Dinge in diesen Regionen kalt halten, sagen Meteorologen voraus .
Langstreckenprognosen sagen die Bedingungen von La Niña voraus, dass sie El Niño in diesem Sommer ersetzen.

Meteorologen beginnen nun den Alarm, dass 2024 ein schwierigeres Jahr für Hurrikane sein könnte. Der erste Beweis beinhaltet eine drastische Verschiebung im Pazifik mit La Niña Bedingungen - oder kältere Oberflächentemperaturen des Meeres - Ersetzen Sie El Niño irgendwann um die zweite Hälfte der Hurrikansaison in diesem Sommer, berichtet Accuweather. AE0FCC31AE342FD3A1346EBB1F342FCB
"Die zweite Hälfte der Hurrikan -Saison dürfte sehr aktiv sein, da die Bedingungen für tropische Systeme günstiger sein werden." Paul Pastelok , ein Langstreckenwetterexperte mit Accuweather, prognostiziert.
Historische Beweise zeigen, dass diese Bedingungen die Sturmbildung im Atlantik erhöhen können. Die aktivsten Jahreszeiten in der Geschichte ereigneten sich 2005 und 2020, beide Male, als sich La Niña schnell bildete und als es bereits vorhanden war, pro Accuweather.
VERWANDT: An diesen 10 Orten leben? Sie sind am meisten gefährdet für "extremes Winterwetter" .
Wärmere Atlantiktemperaturen könnten die Sache noch schlimmer machen.

Während kältere Wasser im Pazifik hilft gefährlichere Stürme Ein weiterer Satz von Bedingungen im Atlantik kann sie auch gleichzeitig anfeuern. Daten zeigen, dass die Ozeantemperaturen im Atlantik -Hurricane -Becken bereits im Juli auf Niveaus liegen, berichtet Accuweather.
Meteorologen sagen, dass diese Messungen nur dann steigen werden, wenn die Lufttemperatur in den wärmeren Monaten steigt, und mehr Kraftstoff für stärkere und zahlreiche Hurrikane liefern. Solche Bedingungen könnten es auch den Hurrikanen ermöglichen, bis vor dem Erreichen von Land weiterhin Kraft zu erhöhen, und die Wahrscheinlichkeit erhöht, dass sie destruktiv sind.
Leider könnte dies bestimmte Gebiete der USA während der Hurrikan -Saison in eine besonders prekäre Position bringen.
"Wir gehen davon aus, dass die Golfküste, insbesondere die Küste in Texas, ein höheres Risiko für direkte Auswirkungen eines tropischen Systems in diesem Jahr ausgesetzt ist", warnte Pastelok.
Muster könnten sich immer noch ändern - oder die Saison könnte früh beginnen.

Aufgrund der wärmeren Temperaturen im Atlantik sind auch langfristige Vorhersagen gewarnt, dass Stürme vor dem offiziellen Beginn der Hurrikansaison am 1. Juni beginnen könnten und ankommen könnten. Laut Accuweather ist dies in den letzten zehn Jahren sieben Mal passiert.
Einige Meteorologen weisen jedoch auch darauf hin, dass eingehende Informationen immer noch a bedeuten könnten Änderung des Ausblicks .
"Natürlich gibt es immer noch eine gewisse Unsicherheit in den Meeresoberflächentemperaturen", " Adam Lea , PhD, ein Klimaphysiker bei TropicalStorMrisk.com, sagte während eines Interviews mit Fox Weather am 29. Januar. Sie können das nicht vollständig ausschließen. "
Er betonte jedoch immer noch, wie Beweis in diesem Jahr bereits stapelte: "Im Moment ist es wahrscheinlicher, dass die Meeresoberflächentemperaturen im tropischen Atlantik wärmer als der Durchschnitt sein werden. Vielleicht nicht so warm wie in letzter Zeit, aber immer noch wärmer als der Durchschnitt. "
Wendy hat gerade einen Geburtstagskuchen frosty - sein erster neuer Aroma seit 2006
Hier ist, warum Jennifer Lawrence sagt, dass sie keine Ernährung kann